Hurricane Melissa Unleashes Fury as Jamaica Faces Storm of the Century

Hurricane Melissa Unleashes Fury as Jamaica Faces Storm of the Century

Hurricane Melissa Unleashes Fury as Jamaica Faces Storm of the Century

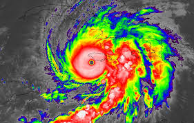
Right now, Jamaica is being battered by one of the most powerful storms in its history — Hurricane Melissa. This monstrous Category 5 hurricane, with winds roaring up to 180 miles per hour, has started making landfall, bringing with it catastrophic conditions that are expected to reshape the island for years to come. Meteorologists are calling it the strongest Atlantic storm of the year — and one of the strongest ever recorded.

Melissa’s eyewall, which contains the most intense winds, has begun pushing ashore in southern Jamaica. It’s the start of an event that many had feared but hoped would never happen — the country’s first-ever direct hit from a Category 5 hurricane. Authorities and aid organizations are warning that this could become a humanitarian disaster, with the UN already calling it “the storm of the century.”

In the hours leading up to landfall, local officials rushed to complete last-minute preparations. Robert Hill, from Kingston’s planning authority, said all precautions had been taken to move citizens into certified shelters. More than 800 shelters have been opened across the island, stocked with supplies for residents expected to ride out the storm for days. Yet, despite all the preparations, the situation is worsening by the hour.

Also Read:

Rainfall across the island is becoming relentless, especially in the mountains, where journalists report that water is rushing down slopes “like a water slide.” Flooding, landslides, and storm surges up to 13 feet high are threatening to engulf coastal towns. Experts warn that these powerful surges could sweep away homes, cars, and entire communities.

The country’s Climate Change Minister, Matthew Samuda, has described the risk of flooding as “extreme.” Around 70% of Jamaica’s population lives within five kilometers of the coast, placing millions in danger. The government says it learned from past hurricanes — particularly from Hurricane Beryl in 2024 — and worked to strengthen infrastructure and emergency systems. But even so, the scale of Melissa’s power is unprecedented.

The effects are already tragic. At least seven people have lost their lives so far — three in Jamaica, three in Haiti, and one in the Dominican Republic. Meanwhile, tourists stranded on the island describe eerie, ghost-town-like resorts as hotels go into lockdown, boarding up windows and clearing outdoor areas to minimize damage.

Scientists say climate change has fueled Melissa’s explosive growth, with ocean temperatures in the region well above normal. These hot waters gave the storm incredible energy, allowing it to intensify rapidly — a process now happening more frequently as the planet warms.

As the eye of Hurricane Melissa moves over Jamaica, forecasters warn the worst is yet to come. The next several hours will bring life-threatening winds, catastrophic flooding, and widespread devastation. Jamaica is bracing for impact — and the world is watching a historic storm unfold in real time.

Read More:

Post a Comment

0 Comments