Florida’s 2025 Hurricane Season Ends with Surprises and AI Triumphs

Florida’s 2025 Hurricane Season Ends with Surprises and AI Triumphs

Florida’s 2025 Hurricane Season Ends with Surprises and AI Triumphs

The 2025 Atlantic hurricane season is finally winding down, and what a ride it’s been — not just for the storms themselves, but for the technology that tracked them. As of early November, most experts say the season is effectively over, with nearly 95% of all tropical activity already behind us. Historically, almost every U.S. landfall happens before the first week of November, and this year seems to be no exception.

What’s remarkable is that, for the first time since 2019, Florida escaped a direct tropical hit. And across the United States, not a single hurricane made landfall — a rare streak of luck that hasn’t happened in a decade. Still, despite fewer named storms than the long-term average, the ones that did form were absolute powerhouses. The 2025 season produced three Category 5 hurricanes — the second-most ever recorded in a single season, only trailing 2005. These massive storms kept the season’s overall activity, measured by something called Accumulated Cyclone Energy (or ACE), well above average.

Also Read:

But this year’s story wasn’t just about nature — it was also about technology. Google’s DeepMind AI hurricane model became the unexpected star of the season. Introduced back in June, this artificial intelligence model uses decades of global weather and cyclone data to make faster and smarter forecasts. Unlike traditional weather models that rely heavily on physics and supercomputers, DeepMind learns from its mistakes and improves continuously. The results were stunning — it outperformed even the National Hurricane Center’s (NHC) official forecasts in predicting storm tracks and intensity, both in the Atlantic and Pacific basins.

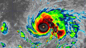
One major example was Hurricane Melissa, the strongest storm of the season. DeepMind accurately predicted its path and strength days ahead, giving forecasters the confidence to issue early warnings. This marked a major milestone for AI in meteorology — showing how machine learning can complement and even enhance human expertise in real time.

Meanwhile, America’s flagship weather model, the GFS, had a rough year. Researchers found that it performed worse than it had in two decades, with forecast errors ballooning to as much as 500 miles in some cases. Its predictions for Hurricane Melissa were particularly off-target, often showing a turn out to sea that never happened. Scientists are still investigating what went wrong, but early speculation suggests possible data or calibration issues within the system.

Despite those setbacks, forecasters at the National Hurricane Center managed to maintain reliable forecasts — largely thanks to the inclusion of AI-driven tools like DeepMind. Their quick adaptation prevented what could have been serious forecasting errors.

So, as the 2025 hurricane season fades into history, it’s clear that Florida and much of the U.S. dodged a major bullet. More importantly, this year may be remembered as the turning point when artificial intelligence officially became a powerful ally in predicting the world’s most dangerous storms.

Read More:

Post a Comment

0 Comments